Cyclone Mocha

cyclone mocha
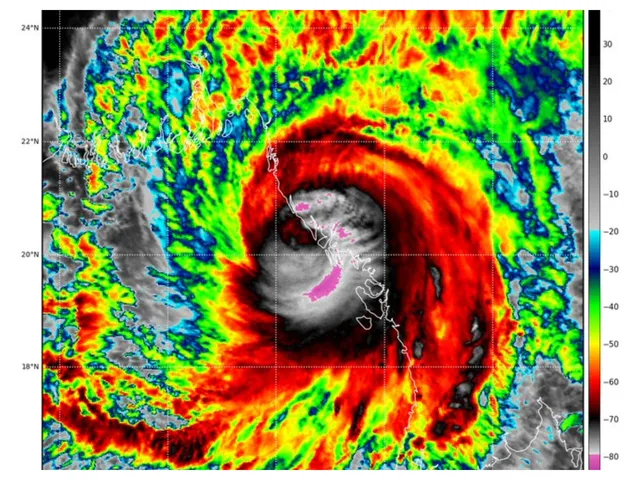
রবিবার বিকালে সিত্তেতে প্রবল ঘূর্ণিঝড় মোচার (Cyclone Mocha) তাণ্ডবে মায়ানমারে (Myanmar) ক্ষতিগ্রস্ত হয়েছে মোবাইল টাওয়ার। রাখাইন রাজ্যের কিছু অংশে মোবাইল ও ইন্টারনেট পরিষেবা বন্ধ করে দেওয়া হয়েছে।