• জেনারেল
  • কলকাতা
  • স্থানীয় খবর
  • দেশ
  • আন্তর্জাতিক
  • খেলা
  • বিনোদন
  • ভিডিও
  • সুস্বাস্থ্য
  • এএনএম-এর আড্ডা
  • জেনারেল
  • কলকাতা
  • স্থানীয় খবর
  • দেশ
  • আন্তর্জাতিক
  • খেলা
  • বিনোদন
  • ভিডিও
  • সুস্বাস্থ্য
  • এএনএম-এর আড্ডা

More

  • Authors
  • Powered by

    আপনি সফলভাবে নিউজলেটার সাবস্ক্রাইব করেছেন.

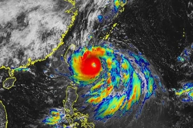
    Hinnamnor

    দক্ষিণ কোরিয়ায় টাইফুন, দেখুন টাইফুনের ফলে দক্ষিণ কোরিয়ার অবস্থার ভিডিও

    দক্ষিণ কোরিয়ায় টাইফুন, দেখুন টাইফুনের ফলে দক্ষিণ কোরিয়ার অবস্থার ভিডিও

    দক্ষিণ কোরিয়ায় টাইফুন, জলের স্রোতে ভাসছে গাড়ি- দেখুন ভয়াবহ ভিডিও
    দক্ষিণ কোরিয়ায় টাইফুন, জলের স্রোতে ভাসছে গাড়ি- দেখুন ভয়াবহ ভিডিও
    দক্ষিণ কোরিয়ায় টাইফুন, রাজপথে ১ তলা বিল্ডিং সমান উঁচু জলের স্রোত- দেখুন ভয়াবহ ভিডিও
    দক্ষিণ কোরিয়ায় টাইফুন, রাজপথে ১ তলা বিল্ডিং সমান উঁচু জলের স্রোত- দেখুন ভয়াবহ ভিডিও
    দক্ষিণ কোরিয়ায় টাইফুন হিন্নামনোর, জলের তলায় বড় বড় গাড়ি- দেখুন ভয়াবহ ভিডিও
    দক্ষিণ কোরিয়ায় টাইফুন হিন্নামনোর, জলের তলায় বড় বড় গাড়ি- দেখুন ভয়াবহ ভিডিও
    দক্ষিণ কোরিয়ায় আঘাত হেনেছে সুপার টাইফুন 'Hinnamnor'
    দক্ষিণ কোরিয়ায় আঘাত হেনেছে সুপার টাইফুন 'Hinnamnor'
    চোখ রাঙাচ্ছে সুপার টাইফুন
    চোখ রাঙাচ্ছে সুপার টাইফুন
    সর্বশেষ গল্প

    Authors

    Powered by

    ভাষা নির্বাচন কর
    Bangla
    English
    Hindi

    এই নিবন্ধটি শেয়ার করুন

    আপনি যদি এই নিবন্ধটি আপনার বন্ধুদের সাথে শেয়ার করুন
    তারা পরে আপনাকে ধন্যবাদ জানাবে

    ফেসবুক
    Twitter
    Whatsapp

    কপি করা হয়েছে!